美国气象飞机穿越飓风眼

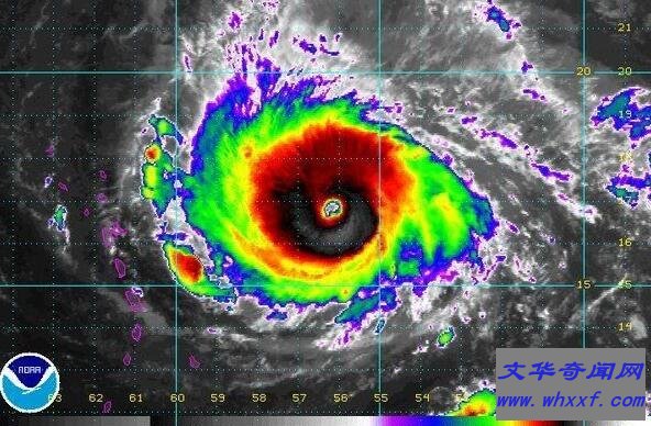
美国人民刚送走飓风Harvey,Irma又席卷佛罗里达,而且风速高达175英里/小时的后者成为在加勒比海和墨西哥湾以外的大西洋地区录的最强飓风之一。

即使如此恶劣的环境,一些飞机也不得不出动,比如来自国家海洋和大气管理局的气象飞机。那么穿越飓风是怎样的感受呢?

如果你在机上对那些常见的震动都感到恐惧的话,估计这趟飞行会让人吓尿,NOAA周二在推特发布了气象飞机穿越飓风眼的视频,当时风雨交加,飞机保持平稳也是极其困难。

幸好最后穿越飓风眼后,气流终于稳定下来,但机身已经是完全湿透。






















